Common Signs of a Scale Insect Infestation
Scale insects are often identified by small, immobile bumps attached to stems and leaves rather than visible moving insects. If you’re seeing sticky residue, raised spots, or slow plant decline, scale insects may already be active.
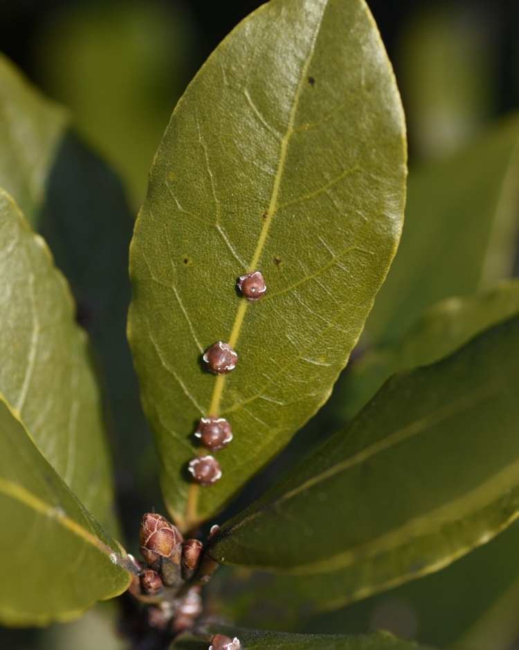
Brown or White Bumps on Stems
Brown or White Bumps on Stems
Scale insects appear as small, rounded bumps attached to stems, branches, or leaves. They may be brown, tan, white, or translucent depending on the species and are often mistaken for part of the plant itself.
Yellowing Leaves and Weak Growth
Yellowing Leaves and Weak Growth
As scale insects feed, they reduce plant vigor by extracting sap. Leaves may yellow, drop prematurely, or appear weakened, especially during prolonged infestations.
Clusters Along Stems and Undersides
Clusters Along Stems and Undersides
Scale insects often gather along stems, leaf veins, and undersides of leaves. Because they remain stationary, infestations can build quietly before being noticed.
Sticky Leaves and Shiny Residue
Sticky Leaves and Shiny Residue
Many scale insects produce honeydew as they feed on plant sap. This sticky residue can coat leaves and stems, attract ants, and lead to black sooty mold developing over time.
Lost Coast Plant Therapy Controls Scale Insects
Lost Coast Plant Therapy is a minimum risk pesticide made with natural and organic ingredients. It works on contact to help control active scale insect infestations by coating soft-bodied pests and causing dehydration and suffocation while disrupting thoracic, metabolic, and exoskeleton function.
Controls scale insects on houseplants, ornamentals, citrus, and greenhouse crops
Safe for food and flowering plants when used as directed
Effective indoors, outdoors, and in greenhouses
What Are Scale Insects?
Scale insects are sap-sucking pests that attach themselves to plant surfaces and feed by inserting their mouthparts into plant tissue. Unlike many insects, they often remain immobile once attached, forming protective coverings that resemble small bumps.
They commonly infest houseplants, ornamentals, citrus trees, shrubs, and greenhouse crops. Because they blend into plant surfaces and do not move visibly, infestations are often mistaken for disease or plant damage rather than insects.
The Difference Between Soft Scale & Armored Scale
Soft scale insects have a waxy, flexible outer coating that remains attached to the insect body. They are typically larger, more rounded, and produce sticky honeydew as they feed. Common soft scale species include brown soft scale, lecanium scale, and cottony cushion scale. Because their coating is softer and less rigid, they are more vulnerable to contact treatments, especially during the crawler stage and early nymph development.
Armored scale insects form a hard, shield-like covering that is separate from the insect body beneath it. They are smaller and flatter than soft scale, do not produce honeydew, and their rigid shell makes them harder to control once fully developed.
Where Do Scale Insects Come From?
Scale insects are typically introduced through infested nursery plants, houseplants, or outdoor vegetation. Indoors, they spread between nearby plants through contact or by crawler-stage insects moving to new growth.
Outdoors and in greenhouses, ants may protect scale insects in exchange for honeydew, allowing populations to expand. Because early-stage crawlers are small and difficult to see, infestations often begin unnoticed.
Lost Coast Plant Therapy
Lost Coast Plant Therapy works on contact, so complete and thorough coverage is essential to control active scale insect infestations. Just shake, mix & spray!
1. Shake concentrate well before measuring.
2. Mix 1–3 fl oz of concentrate per gallon of water.
3. Saturate stems, leaf surfaces, and infested areas thoroughly.
The spray must directly coat scale insects, especially during the crawler stage when they are most vulnerable. Repeat applications help disrupt the life cycle and reduce re-emerging populations.
For heavy infestations, you can boost the formula by adding 1 oz of isopropyl alcohol per gallon along with 1–3 oz of Lost Coast Plant Therapy concentrate.
The Scale Insect Life Cycle
Scale insects develop through stages that make them difficult to control without consistent treatment. The crawler stage is the most mobile and vulnerable phase before insects settle and form protective coverings.
Eggs Protected Under Covering
Females lay eggs under protective shells on plants
Crawlers Move to New Growth
Scale insects move before settling to feed
Attachment and Feeding Stage
Insects insert mouthparts and remain fixed while feeding
Protective Cover Formation
Scale develops a shell-like covering that protects it
Scale Insects on Houseplants
Scale insects are a common indoor plant pest, especially on ficus, citrus, palms, ivy, and other decorative houseplants. They attach to stems and leaf veins where they feed on sap.
Because indoor environments lack natural predators and maintain stable temperatures, populations can expand steadily. Sticky residue, yellowing leaves, and small bumps along stems are often early signs. Without treatment, infestations can spread to nearby houseplants and become difficult to control.
Scale Insects on Citrus and Fruit Trees
Scale insects frequently infest citrus trees and other fruiting plants, attaching to stems, branches, and leaf undersides where they feed continuously on plant sap. Over time, feeding reduces plant vigor, weakens branches, and interferes with fruit development and yield.
Heavy infestations can lead to leaf drop, reduced fruit quality, and sticky honeydew buildup that encourages black sooty mold.
Scale Insects in Greenhouses
Greenhouses provide ideal conditions for scale insects due to stable temperatures, dense plant spacing, and limited natural predators. Once introduced, scale can spread gradually between plants and establish persistent infestations in protected growing environments.
Because scale insects attach firmly to plant surfaces and remain immobile, they can go unnoticed until populations increase. Overlapping plant canopies and limited airflow allow infestations to develop in hidden areas. Routine monitoring and thorough treatment are essential to prevent long-term plant stress and crop loss.
The Best Time to Treat Scale Insects
The crawler stage is the most critical treatment window for scale insects. Newly hatched crawlers are small, mobile, and lack the protective covering that makes adult scale difficult to control.
Crawlers are often visible in spring and early summer on outdoor plants, and can appear year-round on indoor plants and greenhouse crops where temperatures remain stable. Look for tiny, pale, moving specks on stems, leaf veins, and new growth.
Applying Lost Coast Plant Therapy during the active crawler stage, combined with repeat applications to catch newly hatched individuals, gives you the best chance of breaking the infestation cycle.
Why Scale Insects Are Hard to Detect
Scale insect infestations often go unnoticed because the insects blend into plant surfaces and do not move once attached. Their protective coverings and hidden feeding locations allow them to build populations before visible damage appears.
They Look Like Part of the Plant
They Look Like Part of the Plant
Scale insects resemble small bumps or growths on stems and leaves, making them easy to mistake for natural plant tissue rather than pests.
They Don’t Move Once Attached
They Don’t Move Once Attached
After settling on a feeding site, scale insects remain fixed in place, so infestations develop without obvious movement.
They Hide in Hidden Areas
They Hide in Hidden Areas
Scale insects often gather along stems, leaf veins, undersides of leaves, and inner canopy growth where they are less visible.
Damage Appears First
Damage Appears First
Plants may show yellowing leaves, sticky residue, or decline before scale insects are noticed, especially in early infestations.
FAQ’s about Scale Insects
Are scale insects harmful to plants?
Are scale insects harmful to plants?
Yes. Scale insects damage plants by feeding on sap, reducing vigor, slowing growth, and causing yellowing leaves and branch decline. Over time, infestations weaken plant health and can reduce flowering, fruit production, and overall plant strength.
What do scale insects look like on plants?
What do scale insects look like on plants?
Scale insects look like small bumps attached to stems, branches, or leaves. They may appear brown, tan, white, or translucent depending on the species. Because they do not move once attached, they are often mistaken for part of the plant rather than insects.
How do scale insects spread?
How do scale insects spread?
Scale insects spread primarily during the crawler stage, when young insects move to new feeding sites. They can also spread through plant-to-plant contact, infested nursery plants, tools, and ants transporting them to fresh growth.
Why do scale insects keep coming back?
Why do scale insects keep coming back?
Scale insects often return because eggs remain protected under adult coverings and are not affected by incomplete treatment. Newly hatched crawlers can quickly re-establish infestations if repeat applications and thorough coverage are not maintained.
Can scale insects spread to other plants?
Can scale insects spread to other plants?
Yes. Scale insects can spread to nearby plants, especially in indoor spaces, greenhouses, or densely planted areas. Once established, crawler-stage insects can move between plants and begin new infestations.
Are scale insects the same as mealybugs?
Are scale insects the same as mealybugs?
No. Scale insects appear as hard or soft bumps attached to plant surfaces, while mealybugs are soft-bodied and covered in white, cotton-like material. Both feed on sap, but their appearance and behavior differ significantly.
Do scale insects produce honeydew?
Do scale insects produce honeydew?
Soft scale insects produce honeydew, which creates sticky residue and can lead to black sooty mold. Armored scale insects do not produce honeydew, which can make them harder to detect early.
How do you get rid of scale insects on plants?
How do you get rid of scale insects on plants?
Effective control requires thorough contact treatment, especially targeting crawler stages before scale develops protective coverings. Repeat applications of Lost Coast Plant Therapy and full plant coverage are essential to interrupt the life cycle and reduce reinfestation.
Type: Natural 3-in-1 Pesticide
4 oz Bottle
Type: Natural 3-in-1 Pesticide
12oz Bottle
Type: Natural 3-in-1 Pesticide
32oz Bottle
Type: Natural 3-in-1 Pesticide



